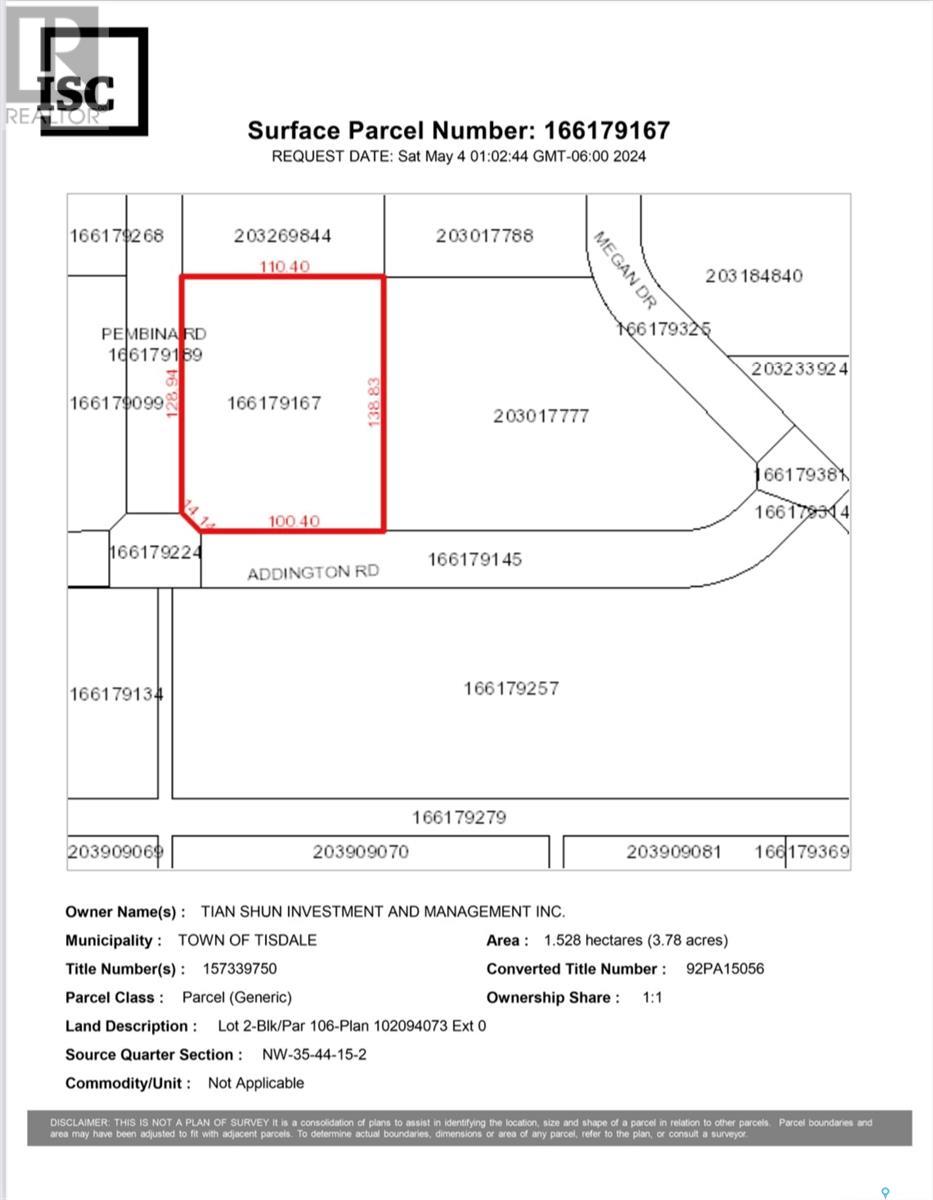
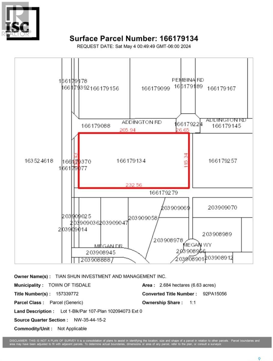
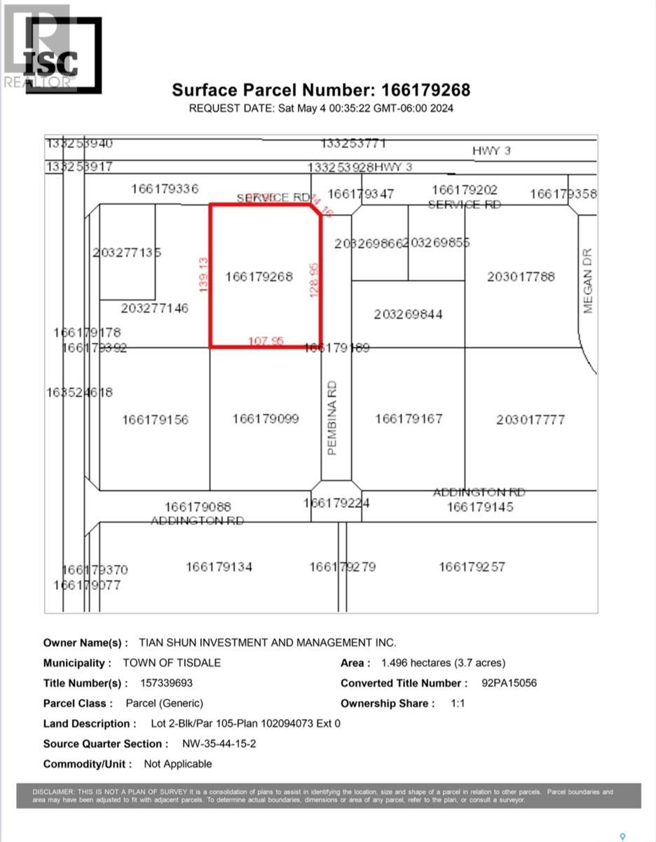
352 Pembina Road Tisdale, Saskatchewan S0E 1T0

Other Acreage

$1,298,000

Unlock the potential of this exceptional 48.15-acre property, featuring 10 fully connected lots offered as one exclusive package. Perfectly positioned along a high-traffic, well-serviced highway frontage with a convenient service road, this site offers unbeatable visibility and access—ideal for commercial, industrial, or mixed-use development. Located on a major truck route in the thriving community of Tisdale, North East Saskatchewan’s central hub, this property benefits from the area’s strong economic growth, strategic location, and efficient commercial infrastructure. Approximately 5 acres have already been leveled, and existing development plans can be included in the sale. Don’t miss this rare chance to secure premium land in one of Saskatchewan’s most promising regions. Contact the agent today to explore the full potential of this high-yield opportunity. (id:62370)

Property Details

MLS® Number SK005270
Property Type Vacant Land

Building

Heating Type Other

Land

Acreage Yes
Size Irregular 48.15
Size Total 48.15 Ac
Size Total Text 48.15 Ac
Your Favourites

 

No Favourites Found

 

Compare listings

Compare